Watch Hurricane Hilary hit California hours after earthquake in this satellite video (Image Credit: Space.com)
Satellites watched weakening tropical storm Hilary bring a deluge to California hours after a series of earthquakes shook a region north of Los Angeles.
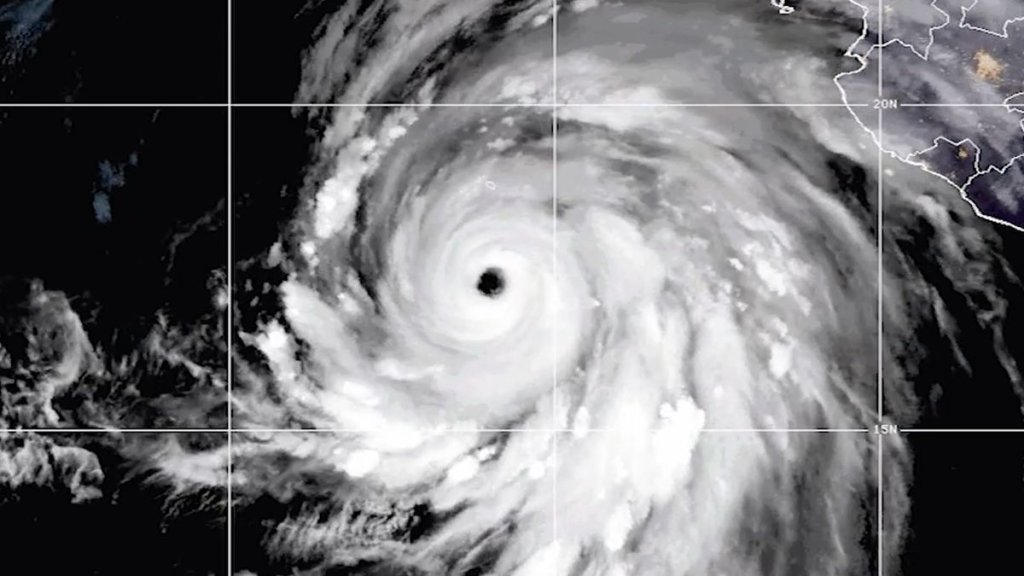
The “hurriquake,” as the coincidence of the two natural disasters has since been nicknamed, fortunately caused less damage than some initially predicted. Hilary, which had grown into a monstrous Category 4 hurricane late last week, lost most of its strength before making landfall over Mexico’s Baja California peninsula on Sunday afternoon. Meanwhile, the earthquake was a mild 5.1 magnitude event that caused no reported damage.
Hilary hit Mexico as a tropical storm with peak winds of 70 mph (119 km/h), according to the BBC, and continued disintegrating as it moved northward toward California.
Related: Satellites watch wildfires rage across Canadian northwest (photos)

But despite the loss of windforce, the storm still brought record-breaking amounts of rain to the region, triggering devastating flash floods. One man drowned in the town of Santa Rosalia where the downpours submerged several buildings, according to reports.
By Monday morning, Hilary further weakened into a post-tropical cyclone, but weather warnings remained in place across southern parts of the U.S. states of Nevada and California.
“Post-Tropical Hilary is expected to produce additional rainfall amounts of 2 to 4 inches [5 to 10 cm], with isolated storm total amounts up to 12 inches [30 cm], across portions of Southern California and Southern Nevada through today,” the U.S. National Atmospheric and Oceanic Administration (NOAA) said in its advisory. “Continued flash and urban flooding, locally catastrophic, is expected.”
The storm will continue tracking northward to Oregon and Idaho where up to 5 inches (13 cm) of rain might fall through Tuesday (Aug. 22) resulting in “localized, some significant, flash flooding,” according to NOAA.
Hilary was only the second tropical storm on record to hit Southern California after Hurricane Nora, which tracked over the easternmost parts of the state in 1997, according to AccuWeather.
In the meantime, three named storms — Emily, Franklin and Gert — have formed above the Atlantic Ocean, with Franklin expected to make landfall in the Dominican Republic on Wednesday, according to AccuWeather.

